조황관리HOME / 조황관리 / 상세정보

제목 : 도다리 1분이서 금방 잡고 왔습니다. 목요일 정상 출항
등록일 : 2026-04-15
#봄도다리낚시 #진영호손선장 #바다낚시 
반갑습니다. 손선장입니다.
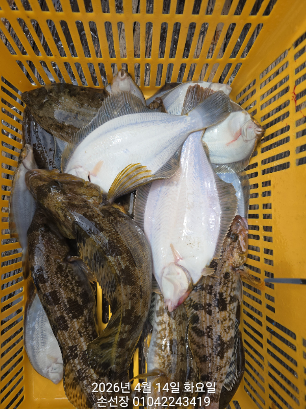
봄도다리 월요일 조항 입니다. 1분 조항 입니디. 
아침에 잡히는 도다리가 많습니다. 낚시대 보단 줄낚시로 
마릿수 노리는게 좋습니다. 
오늘은 노래미도 많이 올라오네요 ㅎㅎ 
라면과 김밥도 먹고 도다리는 
어서 잡아서 썰어먹고 한접시 하고 나니 
벌서 철수 시간이네요. 
봄도다리 맛보로 오세요. 
개인 마릿수가 20마리를 넘는 분도 계시네요. 
잔씨알은 살려 줘가며 잡았습니다.
옛날 김밥 주문 하시면 계란 따라갑니다. 
한강 라면에 넣어 드세요. 
옷 단디 챙겨 입고 오시면 괜찮습니다. 
부지런히 지렁이를 바꿔 주면서 낚시 하니 어느 순간 부터 마리수가 
늘어나는게 보입니다. 
1분 1분이 모여 출항인원이 됩니다. 
1명이라고 주져하지마시고 먼저 연락 주시거나 예약바랍니다. 
 도다리회 드시고 싶은 사장님들 오세요 ^^ 
문자 or 전화예약 가능 합니다. 
선상 24시 예약도 가능 합니다. 
전화 통화가능 합니다. 
자리 여유 예약가능 
#봄도다리


16일 목요일 예약 가능  2명 예약중 정상출항 
17일 금요일 예약가능  5명 예약중 정상출항 
18일 토요일 예약가능 
19일 일요일 예약가능 
20일 월요일 예약가능 

봄도다리는 1명 부터 출항 확정합니다. 
출항 오전7시30분
예약인원 10인 이상시 추첨 그외엔 오신 순서 되로 
30분전 자리추첨
선사 제공 
간식,라면,음료,생수,따뜻한 커피 ,코코아
포함 6만원 
옛날 김밥 주문 가능 1줄 4천원 <맛있습니다>
김밥 주문하시면 한강라면에 넣어먹을 계란 드립니다. 
예약은 미리미리 해주세요. 주말엔 빨리 마감 됩니다. 
평일은 당일 예약도 가능 합니다.
홈페이지에서는 24시간 예약가능 
요즘은 평일엔 자리가 널~널 합니다. 
쭉 자리 여유 출항 합니다. 
===========================
==========================
예약가능 실시간 예약창 확인 요망 
이후 쭉쭉쭉 예약가능 합니다. 
*** 마산 진영호 예약 안내 ***
예약문의 : 01042243419


TimePhoto_20260414_110016.jpg


TimePhoto_20260414_111644.jpg


TimePhoto_20260414_114842.jpg


TimePhoto_20260414_120900.jpg

 


 

*** 마산 진영호 예약 안내 ***


예약문의 : 010-4224-3419 

오시는길 : 경남 창원시 마산합포구 구산면 이순신로 693 (마산수협 냉장건물 앞) 

모바일.gif 

Top